verkocht
Prins Hendrikkade 4, Sneek
€ 549.500 k.k.
Aan de rand van het historische en levendige centrum van Sneek ligt op een uitstekende zichtlocatie tegenover parkje en stadsgracht dit royale bedrijfspand (BVO ca. 659m2) met zo’n 373m2 op de bedrijfsruimte op de begane grond en zo’n 286m2 op de 1e verdieping, inclusief een kantoor/dagverblijf van zo’n 45m2. Het pand is al sinds 1902 in het bezit van diverse generaties van dezelfde familie, voorheen was hier Bouw- en Timmerbedrijf H. en C. Faber B.V. gevestigd. Volledige omschrijving
Kijk in de straat en op de kaart
Omschrijving
Wilt u dit bedrijfspand bezichtigen?
Maak vrijblijvend een afspraak met een van onze medewerkers.
Kenmerken
Overdracht | |
| Aanmelding | in verkoop genomen |
| Prijsvoorvoegsel | vraagprijs |
| Koopsom (excl. BTW) | € 549.500 k.k. |
| Conditie | kosten koper |
| BTW van toepassing | nee |
| Aanvaarding | in overleg |
Bouw | |
| Bestemming | bedrijfsruimte |
| Onderhoud binnen | redelijk |
| Onderhoud buiten | redelijk |
| Afstand tot snelwegafrit | op 500m tot 1000m |
| Afstand tot N.S. Station | op minder dan 500m |
| Afstand tot winkelvoorziening | op minder dan 500m |
| Bouwjaar | <1900 |
| Bouwvorm | bestaande bouw |
Oppervlakten en inhoud | |
| Verkoopoppervlakte | 659 |
Energie | |
| Energieklasse | G |
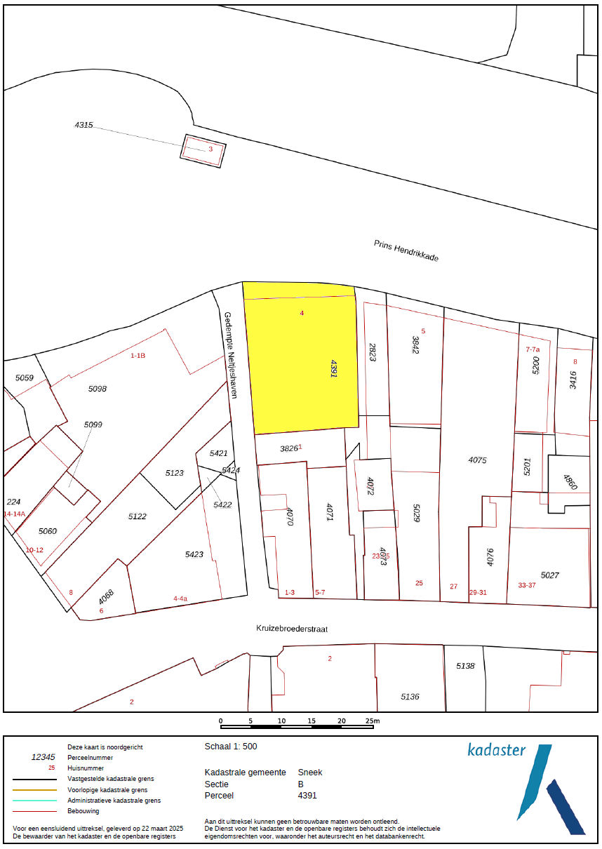
Kadastrale Gegevens | |
| SNEEK B 4391 | |
| Oppervlakte | 351m² |
| Eigendomssituatie | Volle eigendom |
Bergruimte | |
| Schuur/Berging | Inpandig |
| Voorzieningen | Elektra, stromend water |
| Soort Garage | Inpandig |
| Garage voorzieningen | Voorzien van elektra, voorzien van water, met vliering |





