Woningaanbod  /  Stavoren  /  Smidstraat 16, Stavoren
verkocht
Smidstraat 16, Stavoren
€ 570.000 k.k.
"Bijzonder object, een unieke combinatie van een comfortabel vrijstaand woonhuis en een grote loods/hobbyruimte, met diverse gebruiksmogelijkheden"

Deze unieke combinatie van een in 2002 gebouwd vrijstaand woonhuis, verduurzaamd (A+++) met warmtepomp en zonnepanelen, en een in 1998 gebouwde geïsoleerde loods (13.8m x 9.80m) ligt in de historische binnenstad van Stavoren. Een heerlijk gezinshuis met een woonoppervlak van ca. 158m2 met mogelijkheden voor o.a. kantoor, praktijk, een thuiswerkplek of een B&B op de begane grond en een grote loods met mogelijkheden voor o.a. stalling van auto’s, motoren, hobby’s en/of bedrijfsmatige activiteiten. Volledige omschrijving

Brochure Downloaden
Type Woning VRIJSTAANDE WONING Woonoppervlakte 158m² Perceeloppervlakte 400m²
Inhoud woning 536m³ Extra's GROTE LOODS 135M2, WARMTEPOMP, ZONNEPANELEN Bouwjaar 2002
Slaapkamers 5 Woonlagen 3 Ligging IN HET HISTORISCHE STADSCENTRUM VAN STAVOREN

Kijk in de straat en op de kaart

Plattegrond

Plattegrond begane grond
3d plattegrond begane grond
plattegrond 1e verdieping
3d plattegrond 1e verdieping
plattegrond 2e verdieping
3d plattegrond 2e verdieping
Plattegrond loods
3d plattegrond loods
kadastrale kaart

Omschrijving

🎥 Bekijk de drone video van de woning!

Deze unieke combinatie van een in 2002 gebouwd vrijstaand woonhuis, verduurzaamd (A+++) met warmtepomp en zonnepanelen, en een in 1998 gebouwde geïsoleerde loods (13.8m x 9.80m) ligt in de historische binnenstad van Stavoren. Een heerlijk gezinshuis met een woonoppervlak van ca. 158m2 met mogelijkheden voor o.a. kantoor, praktijk, een thuiswerkplek of een B&B op de begane grond en een grote loods met mogelijkheden voor o.a. stalling van auto's, motoren, hobby's en/of bedrijfsmatige activiteiten.

Stavoren ligt aan de boorden van het IJsselmeer en is bekend om zijn gezellige centrum, de vele terrasjes en bijbehorende activiteiten. Het stadje telt ongeveer 1000 inwoners en is geliefd bij watersporters. Het kent diverse winkel- en bedrijfsvoorzieningen en een treinstation (traject Stavoren - Leeuwarden).

Begane grond:
Entree opzij met toegang tot grote hal met trapopgang en meterkast. Drie slaap-/werk-/hobbykamers (ca. 12, 10, 5m2). Grote complete badkamer (ca. 11m2) ingericht met ligbad, douche/stoomcabine, wastafel, toilet (wandcloset), wasmachine/wasdroger aansluiting, mechanische ventilatie en een designradiator. Achterdeur naar buiten.

1e verdieping:
Overloop. Moderne wc, vernieuwd in 2022, ingericht met wandcloset en fonteintje. Gezellige living (ca. 48m2) met balkenplafond, visgraat pvc vloer en veel lichtinval. Woonkamer aan de voorzijde met Taatsdeur naar de woon-/eetkeuken aan de achterzijde. De moderne, passende, keukeninrichting is voorzien van een inductie kookplaat, afzuiger, combi-oven, vaatwasmachine, koeler en een close-in-boiler. Pui met openslaande terrasdeuren naar een riant dakterras (ca. 36m2) met veel privacy en zon. Trap naar de begane grond/het achtererf.

2e verdieping:
Overloop. Twee ruime slaapkamers (ca. 19, 10m2). Diverse vaste kasten. Moderne, volledige betegelde, badkamer ingericht met douchecabine, wastafel met plateau, toilet (wandcloset), designradiator en een dak-/kantelraam.

Loods (bouwjaar 1998):
Volledig geïsoleerde loods voorzien van damwandprofielplaten, overheaddeur (2x), betonvloer, water- en elektra (220 en 380 volt), zolder en een wc met urinoir. Netto maatvoering 13.80x9.80m/135m2. Thans ingedeeld als garage/stalling en diverse bergruimtes. Opstelling wamtepomp en boiler.

Erf/Tuin:
Ruim erf (bestraat) voor stalling, parkeren voertuigen en toegang tot de loods. Privétuin/zonneterras naast de loods op de zon. Passend hekwerk aan de voorzijde van het perceel.

Info:
Energielabel A+++. Volledig geïsoleerd. Kunststof buitenkozijnen, -ramen en -deuren met HR++ beglazing. Luchtwater warmtepomp geïnstalleerd in 2024. 24 Zonnepanelen (400 Wp per stuk) geïnstalleerd in 2023. Vloerverwarming begane grond en 1e verdieping. Buitenzonwering (screens/zonnescherm). Glasvezelkabel. Het geheel ligt binnen het beschermde stadsgezicht van Stavoren. Bouwjaar 2002. Bouwjaar loods 1998. Eigen grond 400m2. Gebruiksoppervlak wonen ca. 158m2. Dakterras ca. 36m2. Inhoud ca. 536m3. Loods ca. 135m2.

Bijzonder object, een unieke combinatie van een comfortabel vrijstaand woonhuis en een grote loods/hobbyruimte, met diverse gebruiksmogelijkheden, gelegen in Elfstedenstad Stavoren, direct bij het IJsselmeer!

Bezichtiging uitsluitend via de makelaar.

Wilt u deze woning bezichtigen?

Maak vrijblijvend een afspraak met een van onze medewerkers.

Kenmerken

Overdracht

Vraagprijs € 570.000 k.k.
Aanvaarding in overleg
Aanmelding in verkoop genomen
Conditie kosten koper

Bouw

Soort woning Eengezinswoning
Bouwvorm Bestaande bouw
Bouwjaar 2002
Soort dak zadeldak met pannen gedekt
Type woning vrijstaande woning
Onderhoud binnen goed
Onderhoud buiten goed
Voorzieningen TV-kabel, buitenzonwering, glasvezel kabel, zonnepanelen, dakraam

Oppervlakten en inhoud

Woonoppervlakte 158 m²
Gebouwgebonden buitenruimte 70 m²
Externe bergruimte 135 m²
Perceeloppervlakte 400 m²
Inhoud 536 m³

Energie

ENERGIELABEL A+++
Isolatie Volledig geïsoleerd
Verwarming vloerverwarming gedeeltelijk
Warm water elektrische boiler eigendom
CV ketel Warmtepomp
Bouwjaar CV ketel 2024
Eigendom eigendom

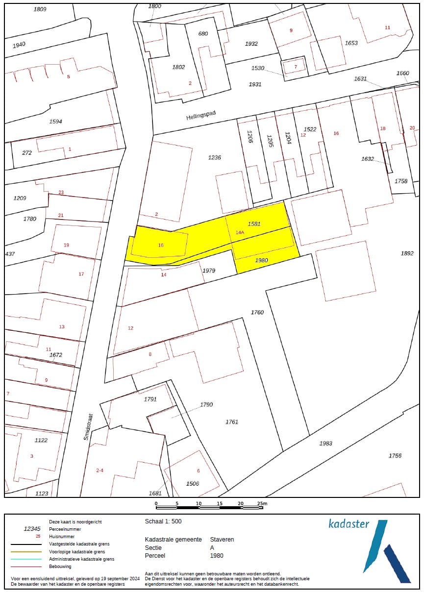
Kadastrale Gegevens

STAVEREN A 1581/1980
Oppervlakte 400m²
Eigendomssituatie Volle eigendom

Buitenruimte

Ligging In centrum
Tuin Achtertuin
Kwaliteit Normaal
Achterom Ja
Positie Oost

Bergruimte

Schuur/Berging Inpandig
Voorzieningen Elektra, stromend water, vliering, zonnepanelen
Soort Garage Garage met carport
Garage voorzieningen Voorzien van elektra, met vliering, voorzien van water

AFSPRAAK MAKEN